Product logins

Find logins to all Clarivate products below.


Cortellis Clinical Trials Intelligence

Position your clinical trials for success from day one

Optimize clinical trial planning and increase your chances of success

Confidently plan and design clinical trials by reducing the time spent compiling and analyzing protocols, sites, outcomes, endpoints and more.

Design your ideal protocol the first time
Pinpoint experienced sites that have access to your patients
Perform thorough trial feasibility analysis

Design your ideal protocol the first time

Plan trial protocols and choose appropriate endpoints using reliable clinical trials data curated by experienced industry analysts.

Pinpoint experienced sites that have access to your patients

Identify reliable and experienced clinical trial sites based on their success recruiting patients in your targeted populations.

Perform thorough trial feasibility analysis

Understand successful protocols, sites, and patient segments by evaluating extensive site intel that integrates epidemiology data, site availability and recruitment.

Accelerate clinical development decisions

Find answers within seconds

Fully searchable and indexed clinical trial content covering over 600k+ global trials.

Comprehensive disease coverage

Robust coverage of clinical trials for 30+ therapy areas, including rare disease and orphan drug trial data not found elsewhere.

Expert team

Access our product specialists and subject matter experts through live chat and 24/5 support service.

Transformative clinical trials intelligence

Pinpoint your ideal site

End-to-end clinical operations workflow to identify, select and analyze key sites of interest. Covering 277k+ sites across 200 countries with integrated U.S. claims data and epidemiology insights.

Track competitive trial strategies in your therapy area

Explore competing trials by disease area, patient segment, trial design, recruitment status, and mechanism of action. Find where trials are running and expected end dates and plan your trials better using trials that met their endpoint versus those that did not.

Position your trials for success

Benchmark your trials to timelines and endpoints by tracking key milestones including primary endpoint completion and enrollment dates. Understand all endpoints reported for a trial and analyze what led to trial success or failure.

Explore protocol details

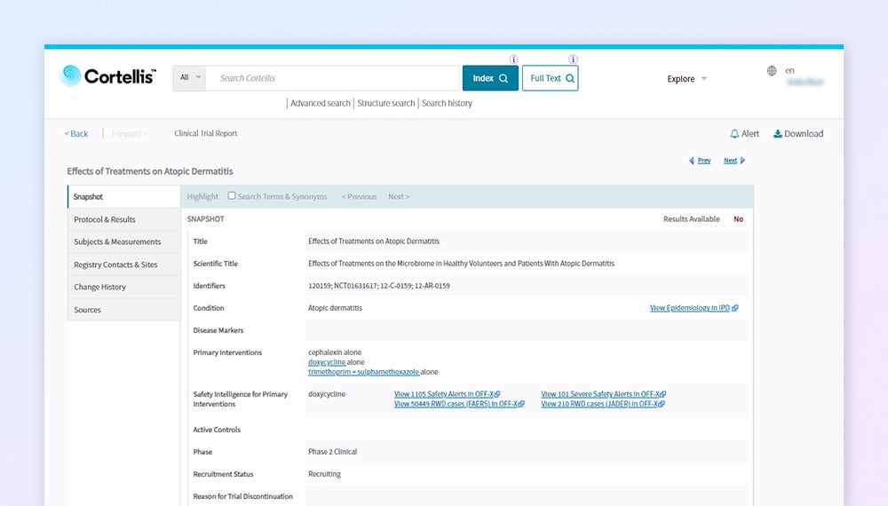
Access comprehensive clinical trial reports, including protocol & results, inclusion / exclusion criteria, trial arms & measurements, sites, biomarkers, devices and more.

Want to learn more?

Contact us to schedule a demo of Cortellis Clinical Trials Intelligence.

600k+
global clinical trials across all phases
813k+
biomarkers tagged to 302k+ trials
89k+
medical device trials
46k+
trial sponsors 

Resources

Learning the lessons of failure Learning the lessons of failure
Whitepaper
Learning the lessons of failure
How to improve the economics of the life sciences R&D
Accelerating trials site selection for a rare disease Accelerating trials site selection for a rare disease
Report
Accelerating trials site selection for a rare disease
Position your clinical trials for success from day one with trusted Clarivate intelligence
Optimizing clinical trials using real-world data Optimizing clinical trials using real-world data
Report
Optimizing clinical trials using real-world data
Harnessing the power of RWD in clinical trials
chevron_left
chevron_right

Cortellis allows the clinical operations team to validate what their CRO is telling them so that they can have more informed discussions around site performance and enrollment strategy in the rare disease space.

Biopharma company focused on rare diseases

Cortellis helps the clinical operations team feel more confident in making decisions around site selection.

Information professional Global biotech company

Cortellis provides us the coverage in the rare disease space we were looking for. The content enabled enrollment projections at the site level using the built-in analytics and enrollment data.

Information professional Global biotech company

The Trial Timeline viewer is particularly popular, enabling us to quickly generate graphics that can be shared with senior management. We are also pleased that the Clarivate team has been adding enrollment periods and rates since Q1 2017 and impressed by the volume of trials curated to date.

US-based biopharma company

chevron_left
chevron_right

Successfully translate drugs from the lab to the clinic.

Epidemiology Intelligence

Size your market accurately with comprehensive epidemiology data

Real-World Data

Helping you unlock real-world insights with integrated analytics and expert consultancy

OFF-X Translational Safety Intelligence

A unique translational tool providing drug and class safety intelligence to anticipate risks and drive new competitive value

Connect with an expert

We’ll become your accelerator in helping you innovate with novel research and navigate the complex regulatory and commercial landscape